Dịch vụ xin cấp phép xây dựng tại quận Nam Từ Liêm
- Bạn không phải là cá nhân, tổ chức có chuyên môn trong lĩnh vực xây dựng
- Bạn không có chứng chỉ hành nghề cũng như tư cách pháp nhân tổ chức đơn vị thiết kế xin cấp phép xây dựng.
- Bạn cũng không biết bắt đầu lập hồ sơ xin cấp phép xây dựng từ đâu.
- Bạn muốn xin giấy phép xây dựng thật nhanh để khởi công công trình đúng quy định của pháp luật.
Chúng tôi sẽ giúp các bạn thực hiện những điều đó! Hãy nhấc máy lên và gọi Liên hệ khi cần tư vấn: hotline: 0936121944/ 0981244588/ 0981244766 để được chúng tôi tư vấn hoàn toàn miễn phí!
Với độ ngũ kiến trúc sư, kỹ sư kinh nghiệm nhiều năm thiết kế và lập bản vẽ xin phép xây dựng. Hiểu rõ và nắm vững các quy định về thiết kế kiến trúc, mật độ xây dựng....trong khu đô thị hiện hữu các phường Cầu Diễn; Phương Canh; Mỹ Đình 1; Mỹ Đình 2; Trung Văn; Tây Mỗ; Đại Mỗ; Xuân Phương; Phú Đô; Mễ Trì trên địa bàn Quận Nam Từ Liêm Tp. Hà Nội.
Chúng tôi sẽ giúp bạn có một bản vẽ xin phép xây dựng theo đúng Quy hoạch của từng Quận Nam Từ Liêm và tận dụng tối đa diện tích, số tầng xây dựng. Chúng tôi cũng sẽ tư vấn cho bạn hiểu rõ những phần được phép xây dựng hay sửa chữa mà không vi phạm quy chế xây dựng.
Công ty tư vấn xây dựng VÂN THANH cung cấp cho bạn hoàn thiện một bộ hồ sơ xin phép đầy đủ nhất, giúp bạn xin phép xây dựng tại Quận Nam Từ Liêm một cách nhanh nhất, tiết kiệm nhất.
Bạn chỉ việc mang bộ hồ sơ đầy đủ này đi nộp và chờ cơ quan ra văn bản hướng dẫn điều chỉnh (do các quy đinh về thông tin quy hoạch, mốc lộ giới, mật độ, lộ giới, đo thực địa khác với thực tế...) và điều chỉnh lại bản vẽ nộp lại là xong.
Nếu bạn không có thời gian, chúng tôi cung cấp thêm dịch vụ xin phép xây dựng trọn gói tại quận nam từ liêm, Chúng tôi sẽ thay mặt bạn làm việc với các cơ quan có thẩm quyền để xin phép xây dựng giúp bạn.
Chúng tôi cam kết chi phí của chúng tôi là thấp nhất.
Hãy gọi ngay Liên hệ khi cần tư vấn: hotline: 0981244588; 0568001987 để chúng tôi được tư vấn hoàn toàn miễn phí giúp các bạn!
DỰ ÁN TIÊU BIỂU THIẾT KẾ - XIN CẤP PHÉP XÂY DỰNG TRÊN ĐỊA BÀN QUẬN NAM TỪ LIÊM
- Chủ đầu tư: Bà Chu Thị Quý
- Địa điểm XD: Phường Phương Canh - Quận Nam Từ Liêm - Thành phố Hà Nội
- Cơ quan CP: Ubnd Quận Nam Từ Liêm - Thành phố Hà Nội
- Đơn vị thiết kế: Công ty TVXD Vân Thanh
- Chủ đầu tư: Ông Vũ Huy Hoàng
- Địa điểm CPXD: Phường Mỹ Đình 1 - Quận Nam Từ Liêm - Thành phố Hà Nội
- Cơ quan CPXD: Ubnd Quận Nam Từ Liêm - Thành phố Hà Nội
- Đơn vị thiết kế: Công ty TVXD Vân Thanh
- Chủ đầu tư: Ông Nguyễn Đắc Ngọc
- Địa điểm CPXD: Phường Phương Canh - Quận Nam Từ Liêm - Thành phố Hà Nội
- Cơ quan CPXD: Ubnd Quận Nam Từ Liêm - Thành phố Hà Nội
- Đơn vị tư vấn thiết kế: Công ty TVXD Vân Thanh
- Chủ đầu tư: Ông Nguyễn Đức Mạnh
- Địa điểm CPXD: Phường Trung Văn - Quận Nam Từ Liêm - Thành phố Hà Nội
- Cơ quan CPXD: Ubnd Quận Nam Từ Liêm - Thành phố Hà Nội
- Đơn vị thiết kế: Công ty TVXD Vân Thanh
- Chủ đầu tư: Ông Đoàn Hùng Nam
- Địa điểm XD: Phường Phú Đô - Quận Nam Từ Liêm - Thành phố Hà Nội
- Cơ quan CPXD: Ubnd Quận Nam Từ Liêm - Thành phố Hà Nội
- Đơn vị thiết kế: Công ty TVXD Vân Thanh

- Chủ đầu tư: Ông Vũ Ngọc Lương và Bà Đoàn Thị Trang
- Địa điểm CPXD: Phường Cầu Diễn - Quận Nam Từ Liêm - Thành phố Hà Nội
- Cơ quan CPXD: Ubnd Quận Nam Từ Liêm - Thành phố Hà Nội
- Đơn vị tư vấn thiết kế: Công ty TVXD Vân Thanh
- Chủ đầu tư: Bà Nguyễn Thị Sáu
- Địa điểm CPXD: Phường Tây Mỗ - Quận Nam Từ Liêm - Thành phố Hà Nội
- Cơ quan CPXD: Ubnd Quận Nam Từ Liêm - Thành phố Hà Nội
- Đơn vị tư vấn thiết kế: Công ty TVXD Vân Thanh
- Chủ đầu tư: Bà Nguyễn Thị Hải
- Địa điểm CPXD: Phường Mễ Trì - Quận Nam Từ Liêm - Thành phố Hà Nội
- Cơ quan CPXD: Ubnd Quận Nam Từ Liêm - Thành phố Hà Nội
- Đơn vị tư vấn thiết kế: Công ty TVXD Vân Thanh
- Chủ đầu tư: Ông Nguyễn Duy Long và Bà Bùi Thị Thúy Hằng
- Địa điểm CPXD: Phường Đại Mỗ - Quận Nam Từ Liêm - Thành phố Hà Nội
- Cơ quan CPXD: Ubnd Quận Nam Từ Liêm - Thành phố Hà Nội
- Đơn vị tư vấn thiết kế: Công ty TVXD Vân Thanh
- Chủ đầu tư: Ông Nguyễn Anh Hào
- Địa điểm CPXD: Phường Xuân Phương - Quận Nam Từ Liêm - Thành phố Hà Nội
- Cơ quan CPXD: Ubnd Quận Nam Từ Liêm - Thành phố Hà Nội
- Đơn vị tư vấn thiết kế: Công ty TVXD Vân Thanh
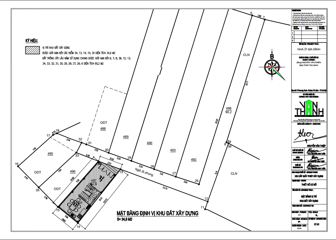
- Chủ đầu tư: Ông Nguyễn Văn Chiến và Bà Thân Thị Hạnh
- Địa điểm CPXD: Phường Phương Canh - Quận Nam Từ Liêm - Thành phố Hà Nội
- Cơ quan CPXD: Ubnd Quận Nam Từ Liêm - Thành phố Hà Nội
- Đơn vị tư vấn thiết kế: Công ty TVXD Vân Thanh
- Chủ đầu tư: Ông Vũ Huy Hoàng
- Địa điểm CPXD: Phường Mỹ Đình 1 - Quận Nam Từ Liêm - Thành phố Hà Nội
- Cơ quan CPXD: Ubnd Quận Nam Từ Liêm - Thành phố Hà Nội
- Đơn vị thiết kế: Công ty TVXD Vân Thanh
Nhận xét & Thảo luận