DỊCH VỤ XIN PHÉP XÂY DỰNG PHƯỜNG XUÂN TẢO QUẬN BẮC TỪ LIÊM
Với độ ngũ kiến trúc sư, kỹ sư kinh nghiệm nhiều năm thiết kế và lập bản vẽ xin phép xây dựng phường Xuân Tảo Quận Bắc Từ Liêm. Hiểu rõ và nắm vững các quy định về thiết kế kiến trúc, mật độ xây dựng ....trong khu đô thị hiện hữu phường Xuân Tảo Quận Bắc Từ Liêm Tp. Hà Nội.
Chúng tôi sẽ giúp bạn có một bản vẽ xin phép xây dựng theo đúng Quy hoạch của phường Xuân Tảo Quận Bắc Từ Liêm và tận dụng tối đa diện tích, số tầng xây dựng. Chúng tôi cũng sẽ tư vấn cho bạn hiểu rõ những phần được phép xây dựng hay sửa chữa mà không vi phạm quy chế xây dựng.
Chúng tôi sẽ giúp các bạn thực hiện những điều đó! Hãy nhấc máy lên và gọi Liên hệ khi cần tư vấn: hotline: 0981244588 / 0568001987 để được chúng tôi tư vấn hoàn toàn miễn phí!
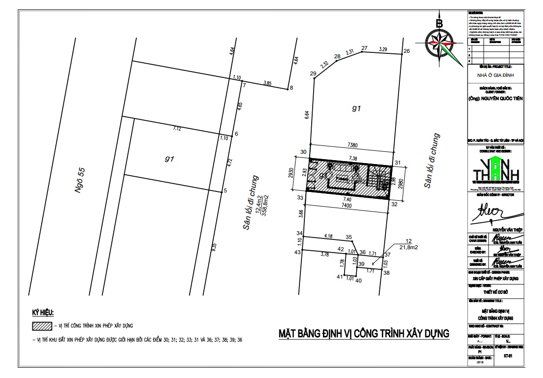
DỰ ÁN TIÊU BIỂU THIẾT KẾ - XIN CẤP PHÉP XÂY DỰNG PHƯỜNG XUÂN TẢO
QUẬN BẮC TỪ LIÊM

Chủ đầu tư: Nguyễn Quốc Tiến
Địa điểm xây dựng: Phường Xuân Tảo - Quận Bắc Từ Liêm - Thành phố Hà Nội
Cơ quan cấp phép: UBND Quận Bắc Từ Liêm
Đơn vị thiết kế: Công ty tư vấn xây dựng Vân Thanh
Nhận xét & Thảo luận